Default sidemenu image
Search

Leave a Message

Thank you for your message. We will be in touch with you shortly.

Explore Our Properties

Property Description

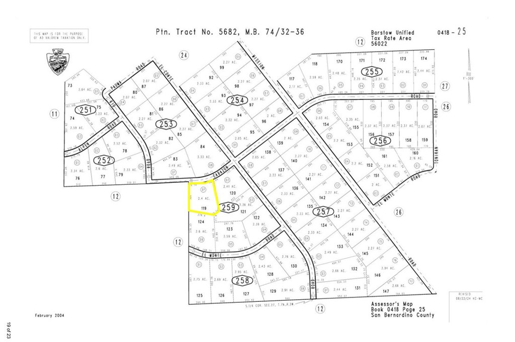
Excellent investment opportunity to own 2.4 acres of vacant land in the growing High Desert community of Barstow. Located on Cabazon Road between Apple Valley and Barstow, this parcel offers wide open space, scenic desert and mountain views, and endless potential for future development, recreational use, or long-term investment. The property is situated in an unincorporated area of San Bernardino County and falls within the Barstow Unified School District.

The surrounding area features several manufactured homes, making this parcel a great option for buyers looking to build, place a manufactured home (buyer to verify), or hold land in an area experiencing steady growth. Enjoy fresh air, open skies, and the peaceful feel of desert living. Ideal for outdoor enthusiasts--bring your off-road toys, camp on your own land, or create your private desert retreat.

Conveniently located with access to major highways, shopping, schools, and local amenities, while still offering privacy and space. APN #0418-259-01. Buyer to verify zoning, utilities, land use, and all aspects of the property with the County of San Bernardino.

Overview

Property Status
For Sale
Lot Size
2.4 Acres
MLS ID
PW26009431
Property Type
Land

Features & Amenities

Neighborhood
San Bernardino County
View Description
Hills, Mountain(s)
Water Source
Well
Utilites
None
Lot Features
2-5 Units/Acre
Sales Price
$15,000
Zoning
RC

Downloads

0 Cabazon Road

Schedule a Tour

I would love to help you see this beautiful home! As a full-service brokerage, we can help you tour. Please submit an offer, and answer questions about the buying process.

Thank you

for your interest in 0 Cabazon Road, Barstow, CA 92307

0 Cabazon Road
Navigate

Mortgage Calculator

Estimate your monthly mortgage payment, including the principal and interest, property taxes, and HOA. Adjust the values to generate a more accurate rate.
$0,000 Your Payment 20 15 65
$0,000 Your Payment

I'm Interested In

0 Cabazon Road

or Contact

Follow Us On Instagram